General Description
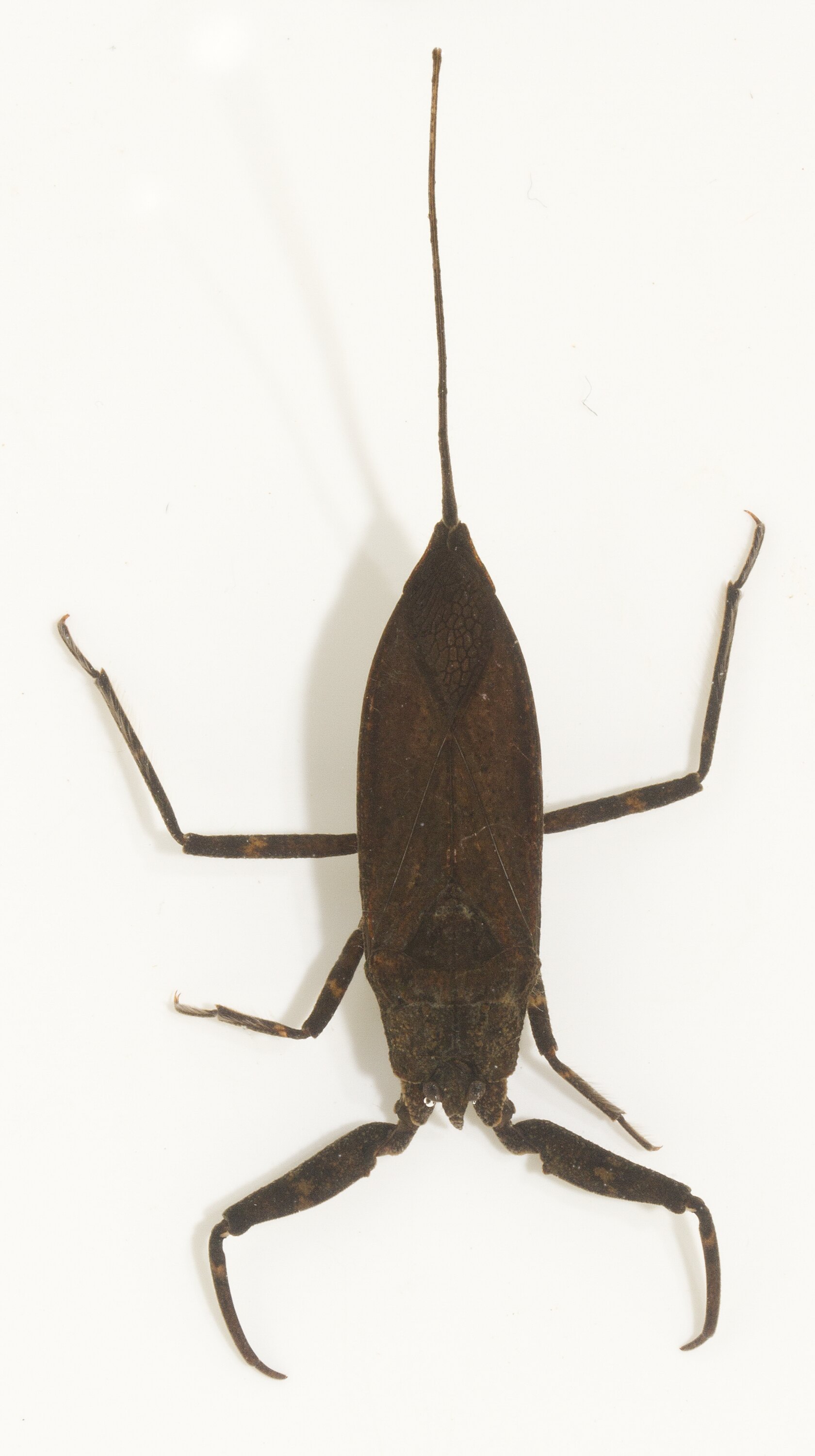
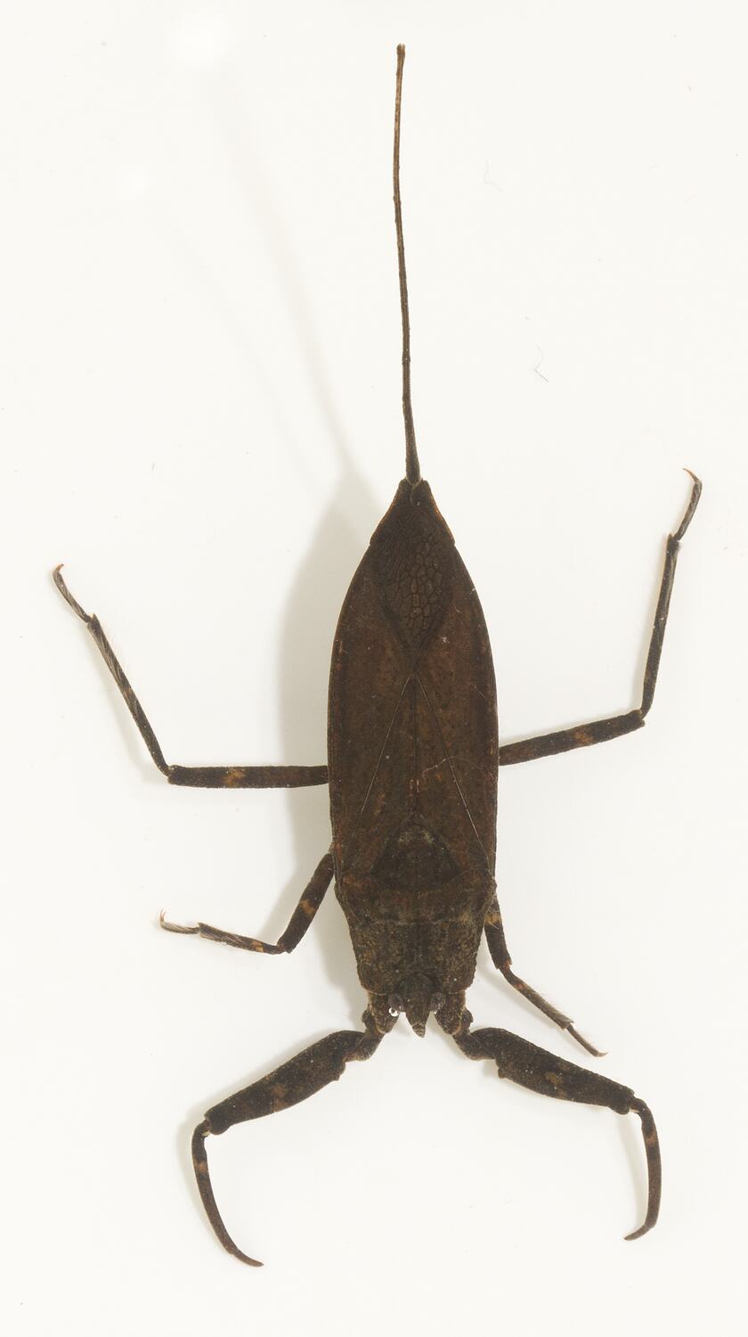
Long flat oval-shaped body. Front pair of legs bent and pincer-like. Long thin tube on the tip of the abdomen. Up to 5 mm long.
Biology
Water Scorpions extend the tube on their back out of the water to breathe air through it like a snorkel. They can ambush fast-swimming prey, such as small fish, catching them between their front legs and stabbing them with their pointed proboscis.
Distribution
Mainland Australia.
Habitat
Wetlands, ponds and slow-flowing freshwater areas.
More Information
- 
            
Animal Type
 - 
            
Animal SubType
 - 
            
Brief Id
Flat oval-shaped body, long thin tube at end of body, pincer-like front legs.
 - 
            
Diet
Carnivore
 - 
            
Diet Categories
Insects, Fish
 - 
            
Endemicity
 - 
            
Conservation Statuses
CITES: Not listed, FFG Threatened List: Not listed, EPBC Act 1999: Not listed, IUCN Red List: Not listed
 - 
                
Taxon Name
 - 
                
Common Name
Water Scorpion
 - 
                
Kingdom
 - 
                
Phylum
 - 
                
Subphylum
 - 
                
Class
 - 
                
Order
 - 
                
Suborder
 - 
                
Infraorder
 - 
                
Superfamily
 - 
                
Family
 - 
                
Subfamily
 - 
                
Genus