General Description
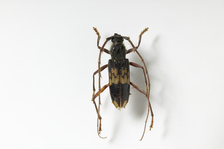
Body red-brown, covered by dark brown wing cases (elytra) with yellow markings. Eyes wrap around the bases of the long, narrow antennae. Body up to 3 cm long.
Biology
Adult Common Eucalypt Longicorns feed on pollen. They fly at night and are attracted to lights. The females lay eggs under the bark of dead and dying eucalypt trees. Larvae hatch and burrow into the wood, later emerging as adults through oval-shaped exit holes.
Distribution
Southern and eastern mainland Australia and Tasmania.
Habitat
Dry sclerophyll forests and urban areas.
More Information
-
Animal Type
-
Animal SubType
-
Brief Id
Dark brown elytra with yellow markings.
-
Colours
Red, Brown, Yellow, Black
-
Habitats
-
Diet
Herbivore
-
Endemicity
-
Conservation Statuses
CITES: Not listed, FFG Threatened List: Not listed, DSE Advisory List: Not listed, IUCN Red List: Not listed
-
Taxon Name
-
Scientific Author
(Fabricius, 1775)
-
Common Name
Common Eucalypt Longicorn
-
Kingdom
-
Phylum
-
Subphylum
-
Class
-
Order
-
Family
-
Subfamily
-
Genus
-
Species Name
semipunctata