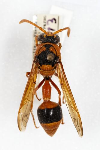
Specimen Details
-
Taxon Name
-
Author and date of publication
(Saussure, 1852)
-
Date Identified
16/08/2024
-
Identified By
Dr Ken Walker - Museums Victoria
-
Number Of Specimens
1
-
Sex
Unknown
-
Stage Or Age
adult
-
Specimen Nature
Form: pinned
-
Collected By
Otto Rogge
-
Date Visited From
9/12/1973
-
Date Visited To
9/12/1973
-
Category
-
Scientific Group
-
Discipline
-
Collecting Areas
-
Type of Item
Taxonomy
-
Kingdom
-
Phylum
-
Subphylum
-
Class
-
Order
-
Superfamily
-
Family
-
Subfamily
-
Genus
-
Species Name
bicinctum