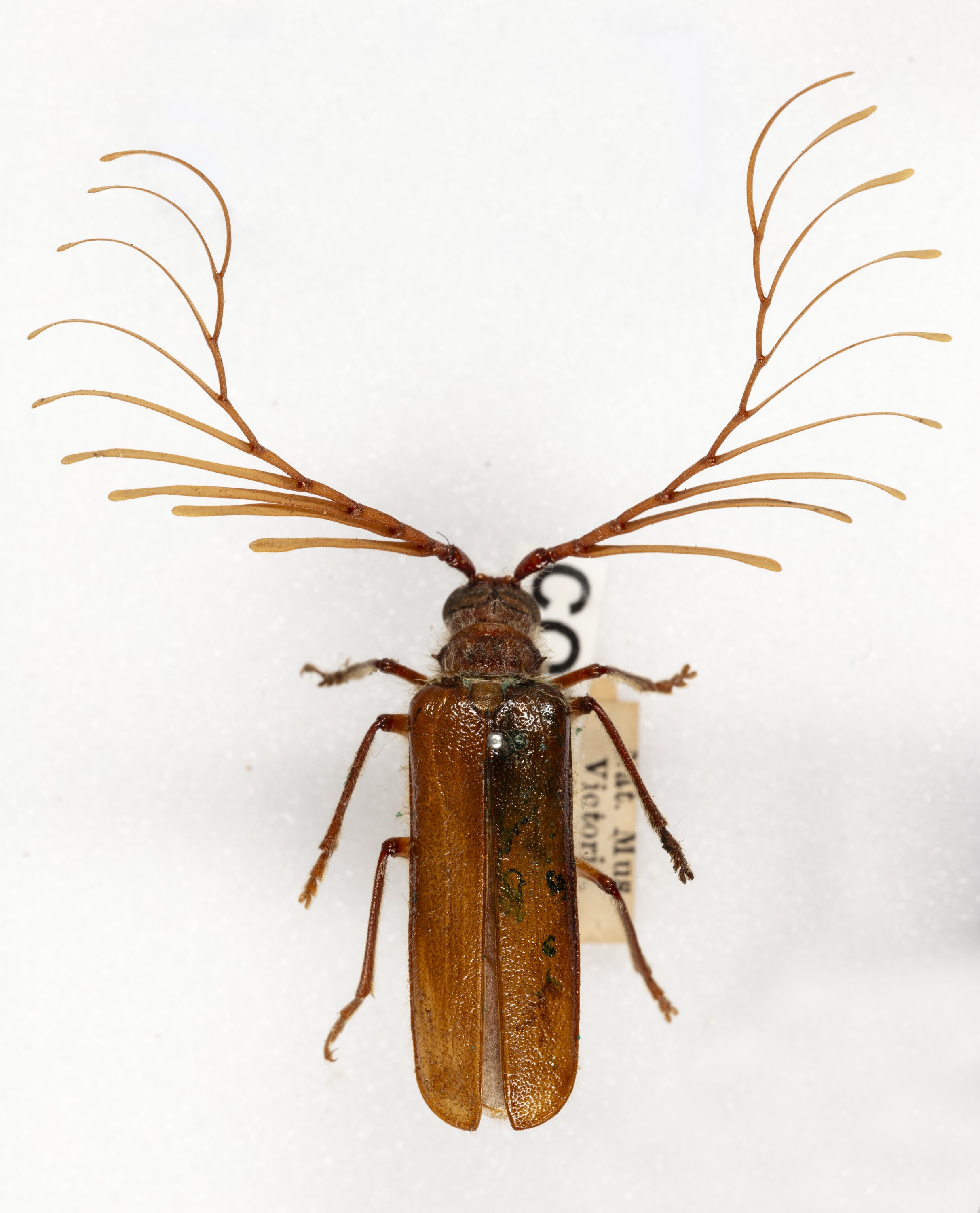
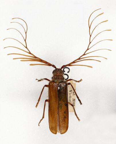
Specimen Details
-
Taxon Name
-
Author and date of publication
Waterhouse, 1877
-
Date Identified
14/08/2024
-
Identified By
Mr. Simon Hinkley - Museums Victoria
-
Number Of Specimens
1
-
Specimen Nature
Nature: Whole, Form: pinned, Fixative treatment: pinned, Medium: dry
-
Collected By
C. French
-
Date Visited From
5/11/1908
-
Date Visited To
5/11/1908
-
Category
-
Scientific Group
-
Discipline
-
Collecting Areas
-
Type of Item
Taxonomy
-
Kingdom
-
Phylum
-
Subphylum
-
Class
-
Order
-
Family
-
Genus
-
Species Name
aeneipennis