Specimen Details
-
Collection Names
-
Taxon Name
-
Preferred Common name
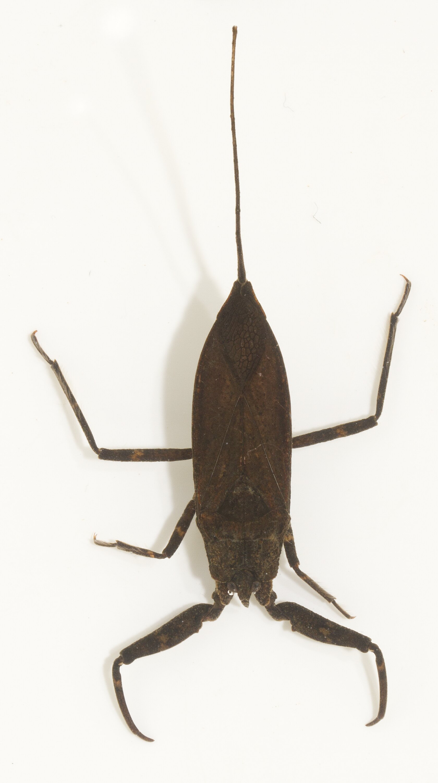
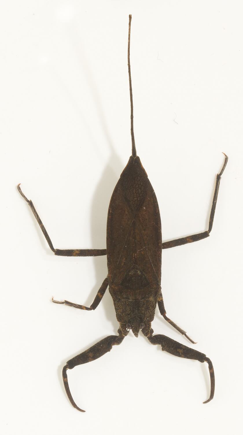
Water Scorpion
-
Photographer
-
Expedition Name
-
Collection Event Code
GRB 108
-
Date Visited From
21/11/2012 12:10 PM
-
Date Visited To
21/11/2012 12:45 PM
-
Category
-
Scientific Group
-
Discipline
-
Collecting Areas
-
Type of Item
Taxonomy
-
Kingdom
-
Phylum
-
Subphylum
-
Class
-
Order
-
Suborder
-
Infraorder
-
Superfamily
-
Family
-
Subfamily
-
Genus
Geospatial Information
-
Site Code
GRBS 2012 57
-
Country
-
State
-
Precise Location
Grampians National Park, Round Swamp, including nearby Lodge Road
-
Minimum Elevation
219
-
Latitude
-37.1783
-
Longitude
142.326
-
Geodetic Datum
WGS84
-
Georeference Source
GPS
-
Georeference Protocol
gps
-
Georeference Date
2012-11-21T00:00:00
-
Georeference By
Dominique Potvin - Museum Victoria