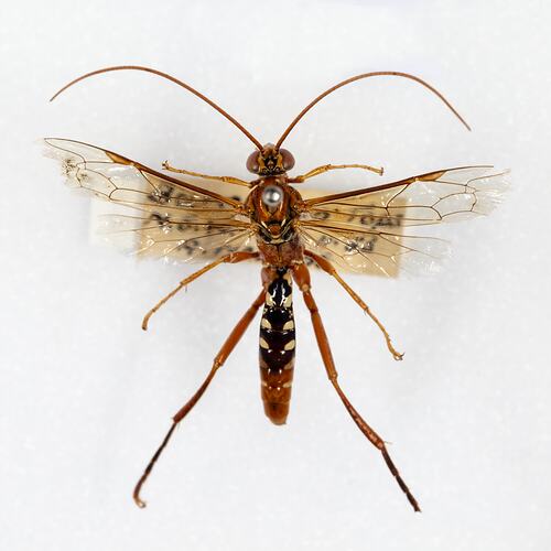
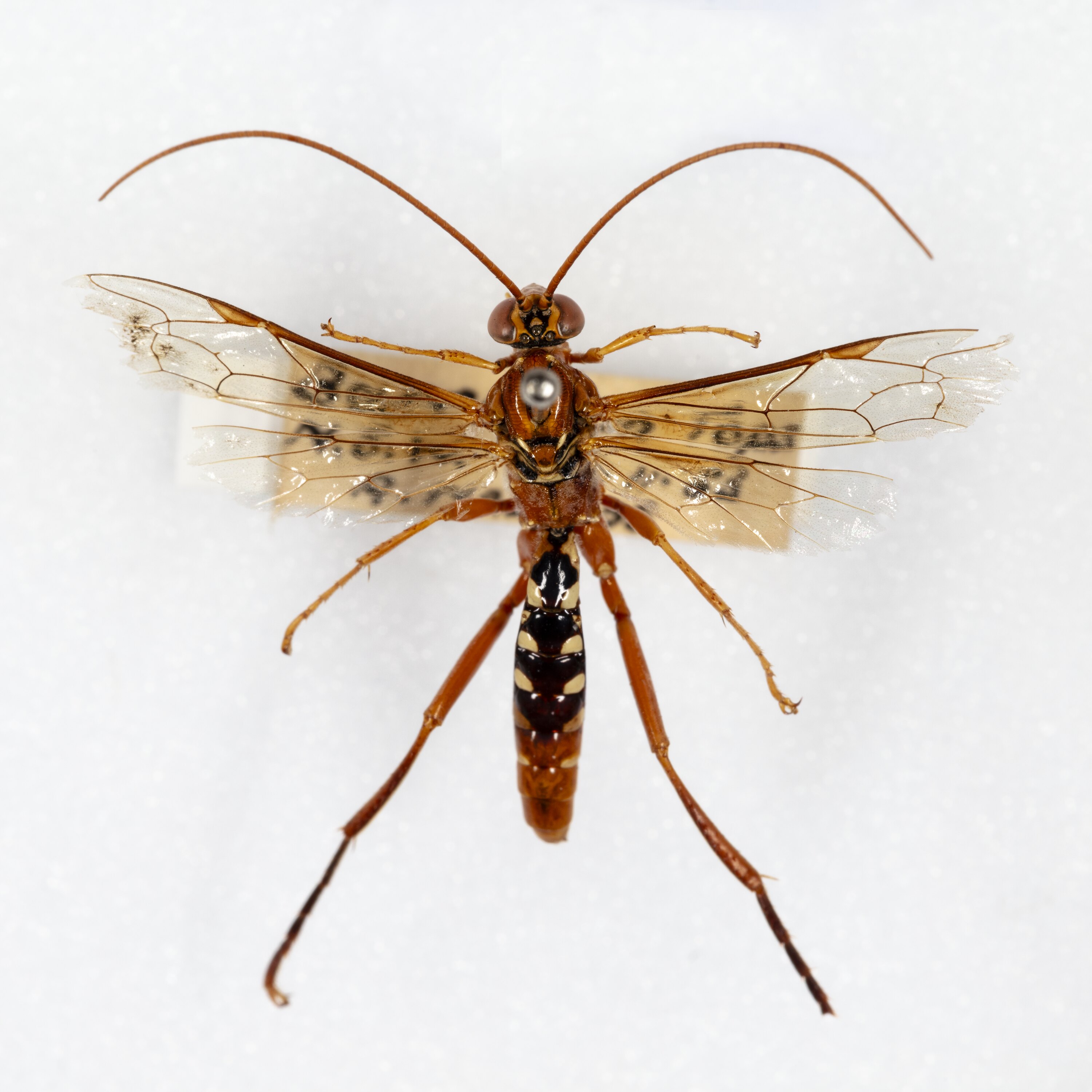
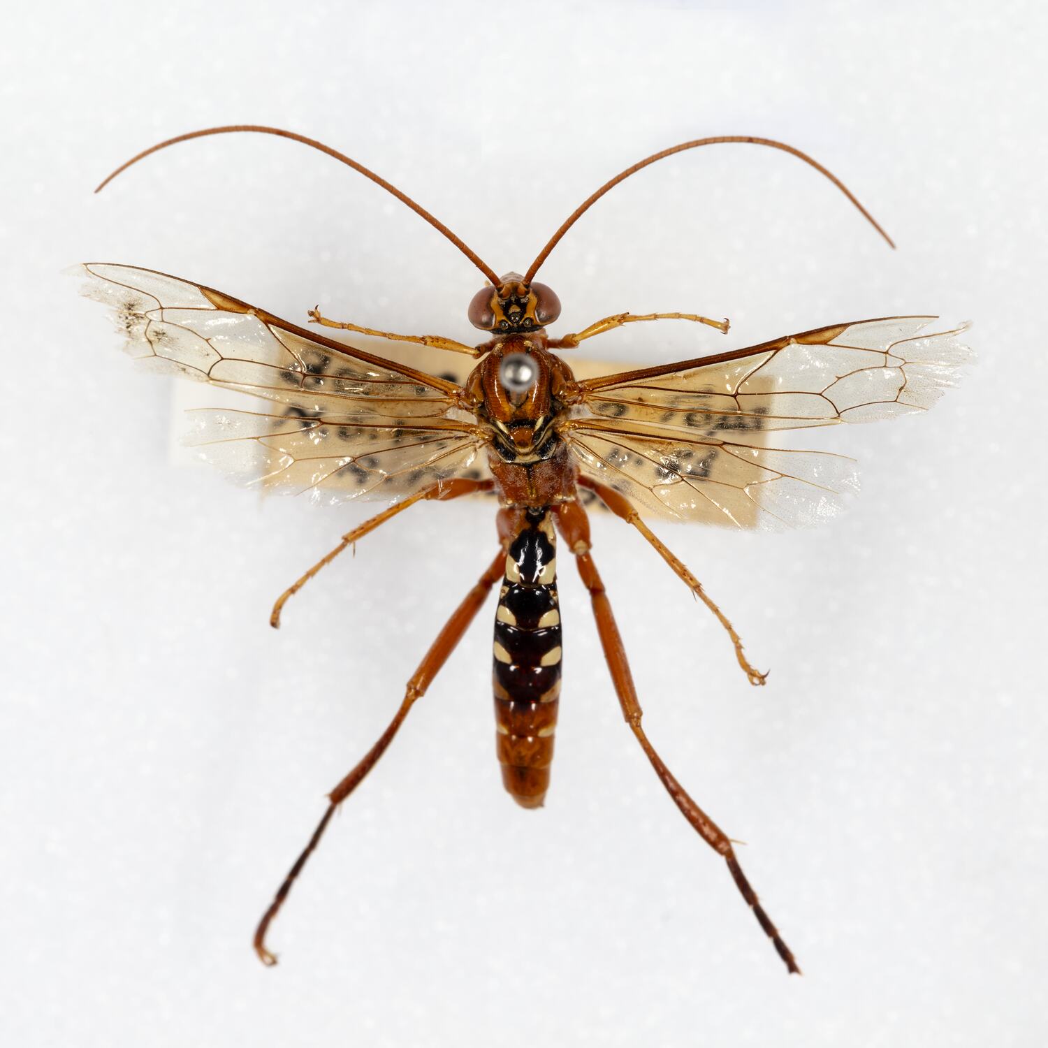
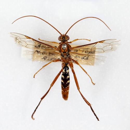
Specimen Details
-
Taxon Name
-
Author and date of publication
(Costa, 1864)
-
Preferred Common name
Orchid Dupe Wasp
-
Number Of Specimens
1
-
Sex
Unknown
-
Stage Or Age
adult
-
Specimen Nature
Form: pinned
-
Collected By
Dr Arturs Neboiss - National Museum of Victoria
-
Date Visited From
17/11/1953
-
Date Visited To
17/11/1953
-
Category
-
Scientific Group
-
Discipline
-
Collecting Areas
-
Type of Item
Taxonomy
-
Kingdom
-
Phylum
-
Subphylum
-
Class
-
Order
-
Superfamily
-
Family
-
Subfamily
-
Genus
-
Species Name
excelsa
Geospatial Information
-
Country
-
State
-
Nearest Named Place
-
Precise Location
Barrington Tops
-
Latitude
-31.98
-
Longitude
151.45
-
Geodetic Datum
WGS84
-
Georeference Protocol
compiler